0 bed

0 bathroom
Features
- Planning Permission Granted
- Change The Landscape With 9 Stunning New Builds
- Detailed Plans Available
- All Offers Welcome
- Freehold Development
Description
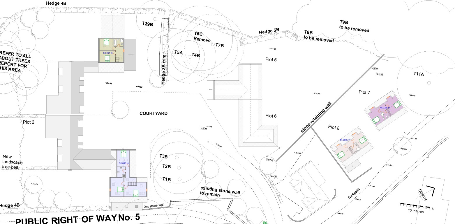
Where the Helme Hall Hotel stands, now presents an exciting opportunity to create 9 truly exceptional home in the rolling County Durham countryside. Set in over half an acer of land (0.57 acers / 2,321 SQM), the site offers developers the chance to create a community of 9 truly exceptional homes, with detailed plans submitted for a mix of 2 to 6-bedroom properties.
The former hotel has now been cleared from the land, meaning that immediate development is possible, significantly reducing pre-construction timelines.
The current land owner is welcoming offers for this freehold development in the region of £950,000. however the site holds the potential to see large returns on your investment with a Gross Development Value of between £4.6M - £5.4M.
Planning Application Submitted for 9 luxury homes (mix of 2–6 bedrooms)
Former hotel demolished – fully cleared site, ready for immediate build
Set within an attractive rural village setting in County Durham
Site area: Approx. 0.57 acres / 2,321 sqm
- Freehold Title – clean and ready for transfer
For further information, including planning documentation, architectural plans, site surveys, or to arrange a site visit, please contact Urban Base directly.
EPC rating: Unknown. Council tax band: X, Tenure: Freehold,



















